Saturday, May 16, 2026
39.0°F

Rathdrum might reconsider subdivision decision

JENNIFER PASSARO | Hagadone News Network | UPDATED 6 years, 1 month AGO
by JENNIFER PASSARO
Staff Writer | April 8, 2020 1:00 AM

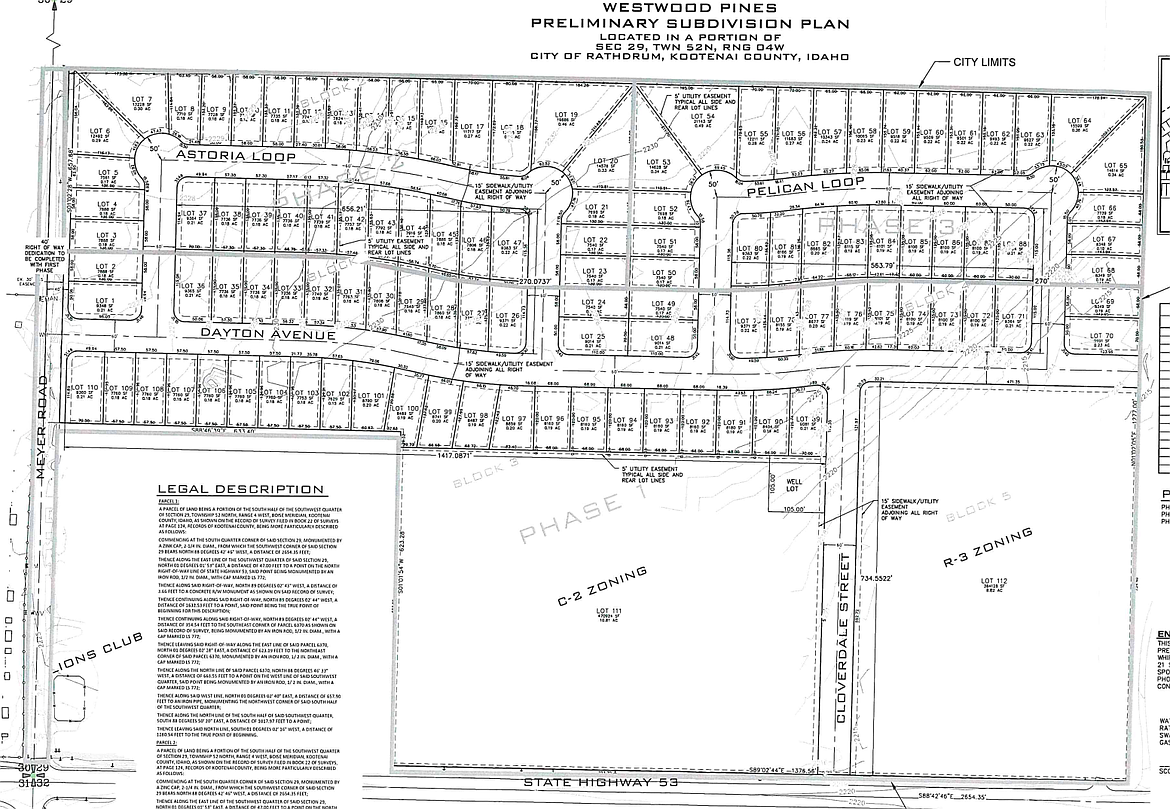
The Rathdrum City Council will decide tonight whether to reconsider its March 11 decision approving a 113-lot subdivision on the northwest corner of Highway 53 and Meyer Road.

The property owner, Viking Construction, Inc., represented by Ray Kimball of Whipple Consultant Engineers, sought to include 110 residential lots, one well lot, one commercial lot, and one multifamily residential lot on the property, annexed into the city in 2011.

Michael Fox, a Rathdrum resident, is appealing the council’s decision on two concerns, according to Rathdrum City Administrator Leon Duce. A letter from the Lakeland Joint School District’s superintendent was not included in the initial decision-making process.

“We approve subdivisions based on established city code,” Duce said. “The letter didn’t say the subdivision didn’t comply with the code, but it requested donations for new schools.”

Duce doesn’t believe inclusion of the letter would have changed the outcome of the vote, because it didn’t directly involve city code for subdivision approval. School district staff didn’t initially submit a letter at Duce’s request, because the property had already been annexed into the city.

Fox also has concerns with school bus stops for the subdivision.

“We’ll go through the reconsideration process if the council deems it necessary,” Duce said Tuesday.

If the council chooses to proceed with the reconsideration process, it will invite Fox to present his concerns at the next City Council meeting. City staff and the applicant will have the opportunity to defend their position.

“The property owner then has the right to refute the additional evidence,” Duce said.

ARTICLES BY JENNIFER PASSARO

In Reed’s words
June 7, 2020 1:20 a.m.

In Reed’s words

Former legislator and co-founder of KEA releases book of columns

WINDOW  to two WORLDS
June 1, 2020 1:15 a.m.

WINDOW to two WORLDS

Neighbors Spokane, Cd’A so close, yet so far away with COVID-19

‘Dysfunction junction’
May 30, 2020 1:09 a.m.

‘Dysfunction junction’

Go online and help shape future of traffic project