Saturday, April 25, 2026
42.0°F

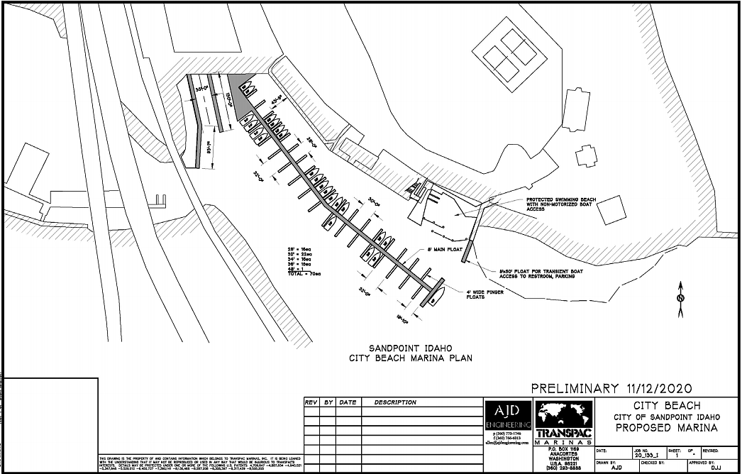
City Council approves land swap at City Beach

RACHEL SUN | Hagadone News Network | UPDATED 5 years, 5 months AGO
by RACHEL SUN
Staff Writer | November 19, 2020 1:00 AM

In a meeting Wednesday night, city council members voted unanimously to approve a land swap on City Beach with the Allen G. Cox Family, LLC.

The land swap between the city’s property, valued at $2,066,000, and the private property, valued at $2,090,000, was described multiple times by council members, city staff and members of the public as a “win-win.”

Should the land swap move forward, said Adrian Cox, the family business would plan to rebuild their hotel to at least twice its current size of 50 rooms. Meanwhile, the majority of the grassy area around the hotel would remain open to public access.

One section on the far end of the property might be closed to public access for use as a wedding and event venue, he said, but for the most part, access would remain the same.

Justin Dick, owner of Trinity at City Beach, also spoke in favor of the land swap.

He pointed to the value of the beachfront area for the public, and the affordability aspect of recreation at the beach compared to other local destinations like Schweitzer Mountain.

The swap and its design, he said, would provide greater public access and the ability to help other business owners in downtown Sandpoint.

The grassy area, which Dick said fills up at around 570 people, is also a regular spot for nonprofit events that draw crowds, and money, into the local economy.

“It’s a loss of revenue [for Trinity],” he said. “With that said, we gain the opportunity to bring those other businesses in.”

In addition to business incentives, council members also discussed the proposed boat launch and parking changes.

“The parking issues are only a handful of days over the course of the year,” said Sandpoint resident Clay Hutchison during the public hearing on the land swap. “[but those are] the most important recreational days of the year.”

Parks and recreation director Kim Woodruff noted the safety improvements to the new boat launch, which would be farther from the recreational area and cars that are trying to park.

“It’s really difficult for people to launch their boats [right now],” he said. “It also creates a safer access to the water.”

Several council members also added they were glad to see the boat launch plans, and had safety concerns especially regarding children at City Beach.

“The boat launch, from a public safety issue, is a no-brainer,” said council member John Darling.

There were no members of the public speaking against the proposal, and one, Rebecca Holland, speaking neither for nor against.

Holland, a longtime biker, requested that the city ensures bike parking and other accommodations for bikers be provided in plans for the swap as required by city ordinance.

Those accommodations should be added in due time, said City Administrator Jennifer Stapleton, however, those details would likely be added at a later date.

“We aren’t at a point where it’s gotten to a granular level,” she said. “The intent would be to be compliant with city code.”

Early in the meeting, council member Deb Ruehle also called for stricter COVID-19 regulations and called a 5-minute moment of silence in the council chambers for those who have died from the virus.

“The right thing to do is not always the easiest thing to do,” she said. “I am not here to make people happy, I am here to keep our community safe.”

Holland, who said she was not planning to speak during the public forum but was inspired by Ruehle’s statements, also spoke in favor of a city mask mandate.

“Literally if any of us have a heart attack or a serious incident, it’s going to be a problem at the hospital,” she said. “It is life and death for many. I don’t want to see any of you go, and I don’t want to see any of my family go.”

The city also unanimously approved a measure to declare a water main leak on Gooby Road an emergency, and expend funds for the repair.

Because the roughly 80-year-old pipes are located in close proximity to the BNSF Railway, excavation will not be possible, said City Engineer Dan Tadic. Instead, there will need to be horizontal drilling to replace the pipes.

Ideally, Tadic said, the city would solicit a minimum of three bids for the repair.

Roughly five local contractors could would be qualified to for that job, he said, and the preliminary estimated cost would be roughly $50,000.

The city will be able to cover that cost, he said, through the reserve funds built into water rates.

Finally, the council approved a resolution for an agreement with Evco Sound and Electronics, Inc., for a council chambers audio/visual project contract.

That project will be funded by CARES Act money, Stapleton said, and includes improvements to the council chambers sound system and the consideration of TV screens mounted outside the chamber for public participation in the case of overflow.

The move is timely both because of the necessity of online participation with COVID-19 (council chambers were limited to 10 in-person participants Wednesday as per Idaho’s stage 2 regulations) and the ongoing challenges by some members of the public to hear from the back of the room.

“We have not done any significant updates to our sound system in the last 8-10 years,” she said.

The plan further consideration of ADA accessible listening devices added for the public, and moving the council dias to the opposite end of the room to improve sound projection and accessibility should a future council member, mayor of commissioner need ADA access. The current dias has stairs on either side and can only be accessed in a wheelchair through a back entrance, Stapleton said.

“If we ever were to have a future mayor our council member who needed ADA access, it could not be accommodated,” she said.

ARTICLES BY RACHEL SUN

Housing top priority for local businesses looking to hire
August 1, 2021 1 a.m.

Housing top priority for local businesses looking to hire

Over 60% of employers who took the survey said current housing conditions detract from the success of their business

Local group working to provide produce, meals to community throughout the year
July 29, 2021 1 a.m.

Local group working to provide produce, meals to community throughout the year

A local group of at-home gardeners is working to make sure all their neighbors have enough to eat.

Local families invited to backpack, school supplies giveaway Sunday
July 29, 2021 1 a.m.

Local families invited to backpack, school supplies giveaway Sunday

Families with students are invited to TCC’s annual backpack giveaway this Sunday from 1-4 p.m. at their Sandpoint location,201 E. Superior St.